706-883-6123

      Property Listings

      Browse or search properties available through J.T. Jones & Associates

      0 - 1,000,000 0 - 5,000
      More options

      Property Description

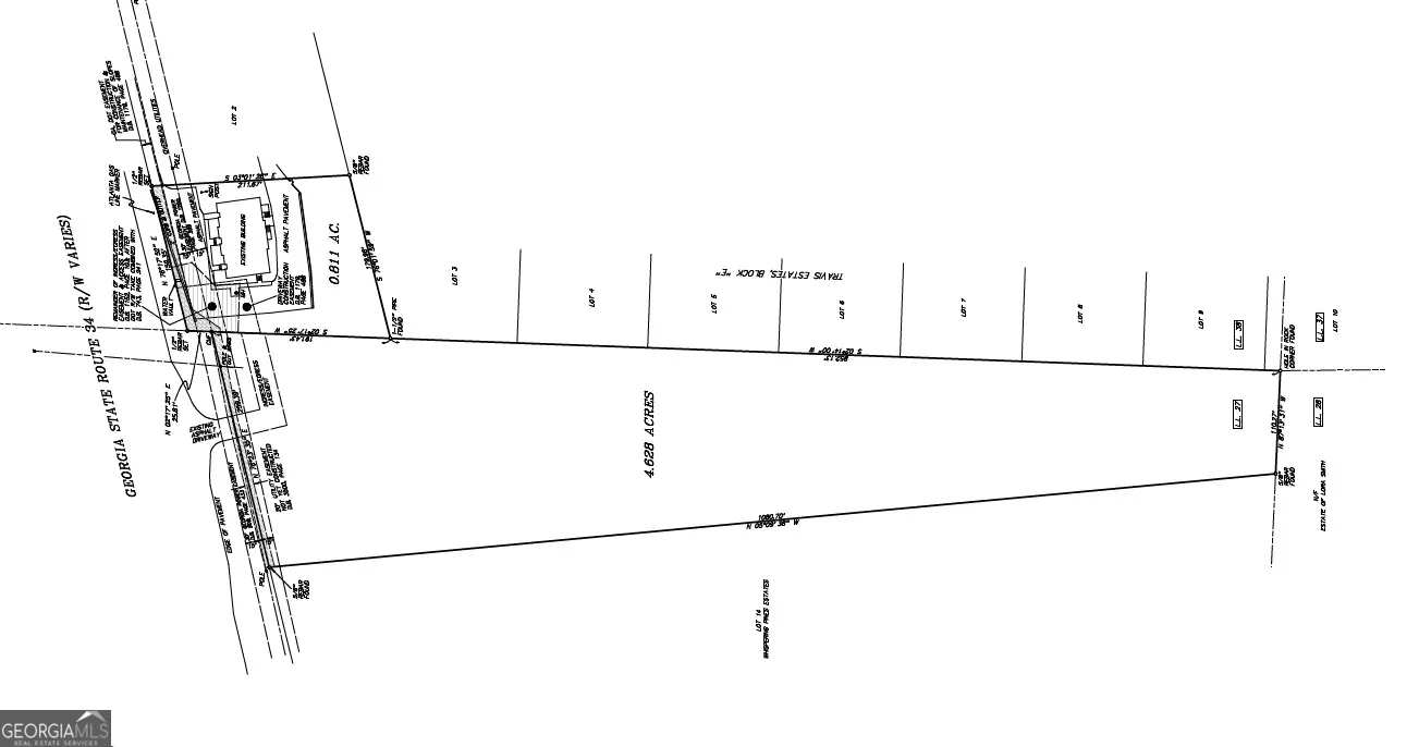
      4.628 acres of Commercial land with over 259 ft of road frontage on widely traveled Hwy 34 in the Thomas Crossroads area of Newnan. Traffic count study estimates 37,000+ vehicles passing daily. Curb cut at Highland accommodates East / West traffic and an existing asphalt driveway directly off of Hwy 34 accommodates East traffic. Water and Sewer. Topo and survey attached to listing. Lot is elevated above street level for great visibility. Zoning is C, overlay for office park use, with medical office buildings and an additional unimproved 10 acre tract immediately adjacent and retail and law offices east of Highland Dr.

      Features
      : Natural Gas
      : Electric, Gas
      : Other
      : Other
      : Public Sewer
      : Electricity Available, Sewer Available, Water Available, Natural Gas Available, High Speed Internet
      Property Location
      2753
      Hwy 34
      Newnan
      Coweta
      GA
      Additional Information
      Land/Lot Only
      : Other
      : Level
      2025-02-25
      https://youtu.be/XrW5AN2FNJE
      : Public
      $0
      Financial
      3439.39
      Listing Information
      CAMPBELLJACQ
      RCON01
      Cash,Land Bank Loan,Other,Small Business Loan
      2025-09-25T14:28:42Z
      gamls
      2025-05-25T05:06:17Z
      Address Map
      Traveling West from Thomas Crossroads, turn in on Highland Dr through easement drive. Sign can be seen from the road. Please do not park in front of either of the medical buildings, but park to right of the chiropractic office near field .
      E

      Commercial Sale For Sale

      2753 E Hwy 34, Newnan, GA 30265

      $985,000
      Listing ID #10465621
      Basic Details
      Property Type : Commercial Sale
      Listing Type : For Sale
      Listing ID : 10465621
      Price : $985,000
      Year Built : 2024
      Status : Active
      Roof : Other
      Agent info
      J.T. Jones & Associates Realty Inc.
      211 Church St., LaGrange GA
      Contact Agent

      Proud members of the National Association of REALTORS®

      Thinking of Buying or Selling? Not sure where to start?

      The process of buying or selling your home can be a difficult undertaking.  But J.T. Jones is here for you.

      We’ve distilled our thirty-plus years of real estate experience into this guide, and we’d like to offer it to you as a free gift, so you’ll save valuable time and avoid the pitfalls and headaches of buying your home.